Société d’ Histoire de Revel Saint-Ferréol LES CAHIERS DE L’ HISTOIRE - N°15 - Année 2010 |
LES PLANS DE LA VILLE DE REVEL |
![]()
Affichage recommandé minimum 1280x1024 - passable 1024x768
La carte de Dillon année 1771

Détail de la carte

Carte du Lauragais

.jpg)
Carte du Canal du Midi des Environs de Revel 1780
Détail de la carte

Plan de la bastide de Revel

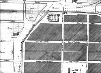
Plan Magues de Revel

Le cadastre actuel (2009) de Revel - Le cadastre actuel se superpose sans aucune difference avec le plan Magues qui nous restitue l'emplacement des anciens remparts de la ville de Revel

Le plan Magues en détail (part quart cliquez pour agrandir)
![]() |
|
![]() |

Détail de la porte Notre-Dame (porte de Dreuilhe)

Croquis idéalisé des remparts de la ville de Revel (1615)

Plan actuel de la ville de Revel (2009)(Office du Tourisme)
